У центрі Луцька хочуть побудувати новий торговий заклад
Фірма, яка хоче побудувати торговий заклад на центральній пішохідній вулиці міста, неодноразово звертається до депутатів міськради щодо оренди ділянки.
Про це йшлося під час пленарного засідання 52 сесії Луцької міської ради 30 січня.
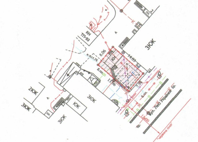
Депутати розглянули проект рішення про надання ПП «КИЙ-Х» на умовах оренди земельної ділянки для будівництва та обслуговування торгового закладу на вулиці Лесі Українки, 19-а (площею 0,0112 гектара).
Пропонували затвердити ПП «КИЙ-Х» технічну документацію із землеустрою щодо встановлення (відновлення) меж земельної ділянки в натурі (на місцевості) на вулиці Лесі Українки, 19-а для будівництва та обслуговування торгового закладу.
Також пропонували надати ПП «КИЙ-Х» вказану ділянку на умовах оренди строком на 10 років з дати укладення договору оренди землі.
Як зауважив начальник управління земельних ресурсів міськради Сергій Шабала, земельна комісія міськради рекомендувала не підтримувати проект рішення. Підприємство, яке є власником нерухомого майна на ділянці, зверталося до депутатів щодо надання дозволу на розробку технічної документації. Тоді демонстрували проект того, як розбудовуватимуть ділянку. Наразі, зі слів посадовця, власник майна змінився.
У підсумку, депутати знову не підтримали проект рішення.
Нагадаємо, питання щодо цієї ділянки розглядають вже не вперше.
Наприкінці 2016 року представниця ПП «КИЙ-Х» повідомляла, що на ділянці хочуть побудувати двоповерховий офісний центр, суміжний з сусіднім житловим будинком. Тоді підприємство надало два ескізи забудови, жоден з яких, втім, не отримав схвалення депутатів міськради. Так, перший варіант полягав у відселенні мешканців декількох квартир сусіднього житлового будинку і підприємство готове було вирішити питання відселення, надавши інше житло мешканцям. Другий варіант полягав в тому, що у суміжному будинку доведеться перекрити вікна. Оскільки окрему будівлю на ділянці не можна зводити за нормами, адже площа надто мала, торговельно-офісний центр хотіли зробити суміжним з сусіднім будинком. Тоді проект рішення зняли з розгляду.
У 2017 році до проекту знову виникали зауваження в архітекторів. Тоді підприємство повідомляло, що планує звести одноповерхову будівлю.
Згодом, у березні 2017 року представниця підприємства Ярослава Поліщук розповіла, що замовник будівництва врахував усі побажання та вніс зміни у проект. Отже, на ділянці буде працювати лише одноповерховий кафетерій, будівництво якого не закриватиме вікон мешканцям сусіднього будинку.

